El poderoso huracán Melissa toca tierra en Jamaica como categoría 5: esta es su trayectoria
El huracán Melissa alcanzó la categoría 5 con vientos sostenidos superiores a 257 km/h y tocó tierra en Jamaica este martes

- Hoy No Circula 2025: ¿Qué autos no circulan el lunes 27 de octubre?
- ¿Cuánto cuesta el gas LP hoy? Precios vigentes del 26 de octubre al 1 de noviembre
- La agenda deportiva de hoy: calendario, resultados y estadísticas, al momento
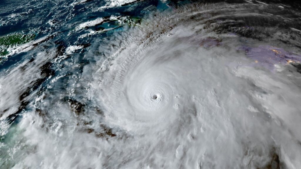
El Caribe enfrenta condiciones críticas tras el impacto directo del huracán Melissa, que tocó tierra este martes cerca de New Hope, en el suroeste de Jamaica, como un ciclón de categoría 5 con vientos sostenidos de hasta 295 km/h. De acuerdo con el Centro Nacional de Huracanes (NHC, por sus siglas en inglés), se trata de uno de los impactos en tierra más potentes jamás registrados en la cuenca del Atlántico.
Jamaica enfrenta una situación sin precedentes: nunca antes una tormenta de esta magnitud había golpeado la isla. Las autoridades locales reportan inundaciones, cortes de energía e interrupciones de internet, mientras el fenómeno continúa desplazándose lentamente hacia el norte.
La Agencia Nacional de Obras de Jamaica informó que carreteras y puentes en distintas regiones del país permanecen bajo el agua, complicando el acceso a comunidades remotas. El observatorio NetBlocks señaló que la conectividad nacional cayó en varias zonas, incluyendo Hanover, en el noroeste de la isla.
El gobierno de Jamaica mantiene activos más de seis mil refugios y advirtió que los daños podrían ser devastadores. “No hay infraestructura en la región que pueda soportar una categoría 5”, declaró el primer ministro Andrew Holness, quien pidió a la población permanecer bajo resguardo.
Así se ve el ojo del huracán Melissa categoría 5
El NHC calificó el huracán como “una situación extremadamente peligrosa y que amenaza la vida”. Las autoridades insistieron en que la población permanezca en refugios y no salga durante el paso del ciclón, e indicaron que los vientos podrían causar fallas estructurales graves.

El organismo internacional, advirtió que los vientos se intensificarán de manera rápida y peligrosa y pidió a la población buscar la mayor protección posible dentro de sus hogares. La recomendación es permanecer en una habitación interior sin ventanas, lejos de la caída de árboles u objetos, y protegerse con colchones o un casco si es necesario.
¿Dónde se ubica y cuál es la trayectoria del huracán Melissa categoría 5?
Tras tocar tierra, el huracán Melissa mantiene su núcleo sobre el suroeste de Jamaica y se desplaza lentamente hacia el norte-noreste, a una velocidad aproximada de 8 km/h. Según el NHC, se espera que el sistema continúe su trayectoria y pueda afectar Cuba oriental y las Bahamas, con posibilidad de acercarse a las Islas Turcas y Caicos en los próximos días. Se prevén lluvias acumuladas entre 200 mm y 400 mm, con algunas zonas que podrían superar este rango, lo que aumenta el riesgo de inundaciones y deslizamientos de tierra.
El #Huracán de categoría 5 #Melissa, se encuentra próximo a tocar tierra en Jamaica. Se localiza a 60 km al sureste de dicha isla. No representa riesgo para #México. Detalles, en el gráfico pic.twitter.com/OGsIGjMddm
— CONAGUA Clima (@conagua_clima) October 28, 2025
¿Cuándo y dónde se pronostica que toque tierra el huracán Melissa categoría 5?
El huracán Melissa tocó tierra en Jamaica alrededor de las 11:00 a.m. hora local de este martes. Según el NHC, el sistema podría continuar su trayectoria sobre la isla y acercarse a Cuba oriental entre la noche del miércoles y la mañana del jueves.
Hasta ahora, el fenómeno ha causado siete muertes: tres en Jamaica durante los preparativos del ciclón, tres en Haití y una en República Dominicana. Además, algunas personas permanecen desaparecidas y los equipos de emergencia trabajan para llegar a las zonas más afectadas.
Melissa se ha convertido en el huracán más potente que ha golpeado Jamaica en 174 años de registros y es el quinto más intenso del Atlántico por presión, similar al huracán Dorian en 2019.
TE PUEDE INTERESAR:

Actualidad
Hoy No Circula 2025: ¿Qué autos no circulan el martes 28 de octubre?

Actualidad
CFE pone fin al subsidio de verano: ¿En qué estados subirá el recibo de la luz?
